VOCE
san martino di venezze
03.05.2022 - 18:39
Pronta anche la progettazione del secondo stralcio. Saoner: “Importante messa in sicurezza”
Valentina Magnarello
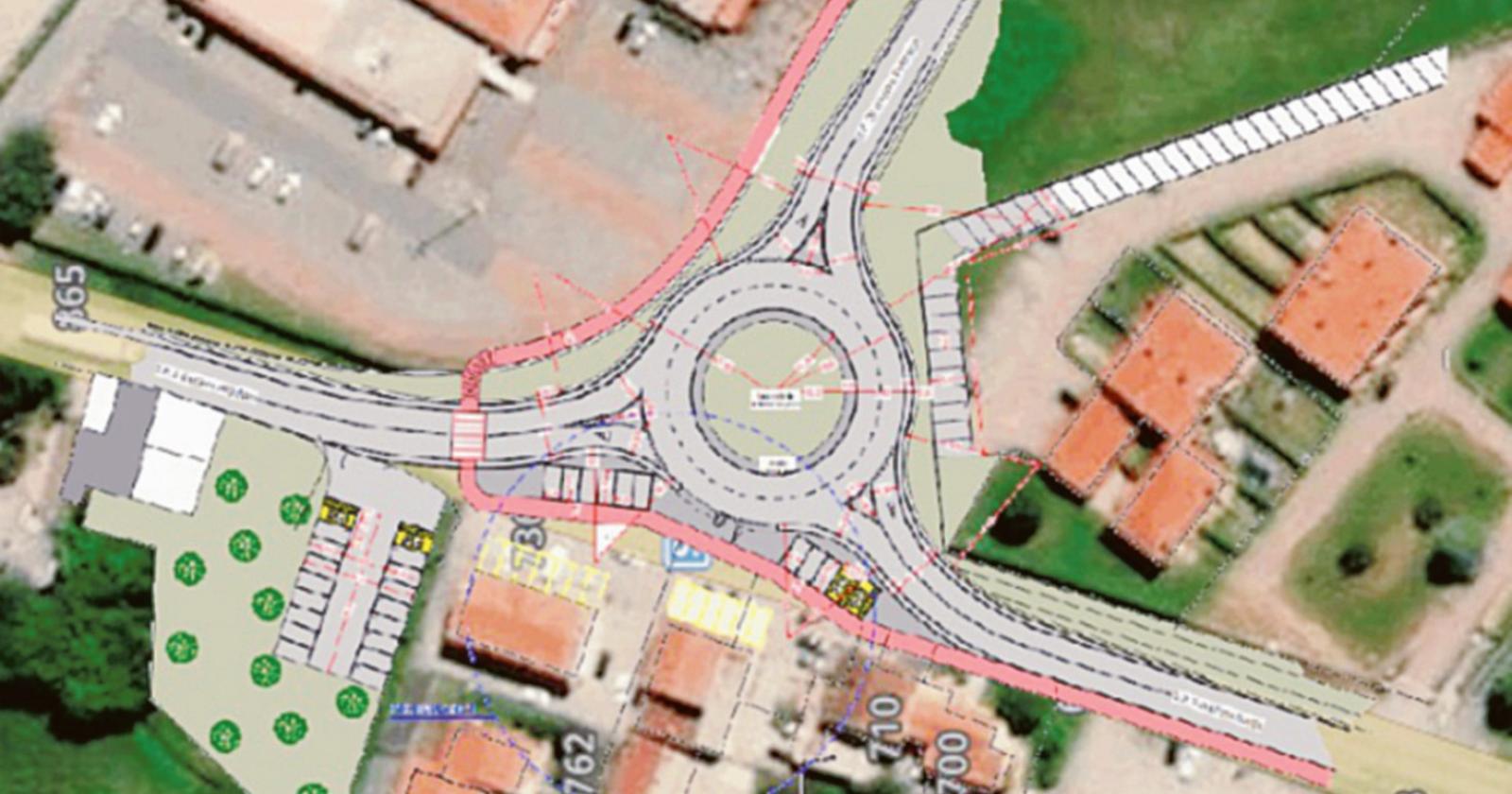
SAN MARTINO DI VENEZZE - E’ stato assegnato l’incarico per realizzare i lavori del primo stralcio della rotatoria fra le provinciali Sp3 di via Penisola e Sp29 di via Ca’ Donà.
Si tratta di un punto nevralgico del traffico che transita per il paese in quanto è incontro di automobilisti e camionisti che arrivano dalla provincia di Padova e si dirigono verso Rovigo oppure che stanno andando o arrivando dalla direzione di Cavarzere. Si tratta di un progetto importante e che da anni è in “lista d’attesa”. Ma ora sta per partire: entro giugno sarà dato il via alle fasi preliminari dei lavori.
A darne conferma l’assessore ai lavori pubblici del Comune di San Martino di Venezze Riccardo Saoner: “La rotatoria è uno dei punti principali del programma elettorale di Venezze Futura - le sue parole - è un’opera che punta a mettere in sicurezza un’intersezione stradale molto importante e fragile, snodo di collegamento fra tre province. Il primo stralcio dell’opera inizierà entro il mese di giugno con la preparazione del terreno adiacente all’area su cui verrà realizzata la nuova rotatoria. Sul lato ovest verrà creato uno spazio destinato a parcheggi che favorirà l’accoglienza della zona commerciale presente che comprende farmacia, bar, scuola-guida, ci sarà quindi la possibilità di garantire maggiore spazio per ospitare posti auto rispetto alla configurazione attuale. Verrà inoltre ridisegnato sul lato est il perimetro dell’area parcheggi del residence Corte Pala per rendere la conformazione compatibile all’inserimento della rotonda. Infine, sarà realizzato un terrapieno a nord della futura rotatoria che consentirà un passaggio pedonale sulla Sp3 che permetterà il passaggio in sicurezza fra le due aree commerciali presenti.
Il costo del primo stralcio dell’opera è di 100mila euro che sono finanziati con risorse del Comune. “Abbiamo completato anche la progettazione del secondo stralcio dell’opera e cioè la realizzazione della rotatoria vera e propria, che contiamo di poter avviare nella seconda metà dell’anno e che richiederà una spesa indicativa di 300mila euro da finanziare sempre con fondi propri - ha concluso Saoner - sarà un traguardo importante per la messa in sicurezza delle nostre strade, per l’efficace collegamento delle nostre aree commerciali e per il prolungamento dei percorsi ciclabili. Questa rotatoria si aggiunge e arricchisce quel piano di miglioramento continuo della viabilità sostenibile nel nostro territorio che stiamo attuando progressivamente in questi ultimi anni”.
La Voce nuova | Direttore responsabile: Alberto Garbellini
Editrice Editoriale la Voce Soc. Coop. | Piazza Garibaldi, 17 - 45100 Rovigo Telefono 0425 200 282 - Fax 0425 422584 - email: redazione.ro@lavoce-nuova.it
Per la tua pubbicita' su questo sito: commerciale.ro@lavoce-nuova.it
Editrice: Editoriale La Voce Società Cooperativa. “La società percepisce i contributi di cui al decreto legislativo 15 maggio 2017, n. 70. Indicazione resa ai sensi della lettera f) del comma 2 dell’articolo 5 del medesimo decreto legislativo.” Redazione: piazza Garibaldi 17, 45100, Rovigo tel. 0425 200282 e:mail: redazione.ro@lavoce-nuova.it sito: www.lavocedirovigo.it
Pubblicità locale: Editoriale La Voce Soc. Coop. Divisione commerciale Piazza Garibaldi 17 - 45100 Rovigo - Tel. 0425 200282. Pubblicità Nazionale: MANZONI & C. S.p.A. Via Nervesa, 21 - 20139 Milano - Tel. 02 574941 www.manzoniadvertising.com Stampa: Tipre srl Luogo di stampa: via Canton Santo 5 Borsano di Busto Arsizio. POSTE ITALIANE S.P.A. - Sped. in Abb. Post. - D.L. 353/2003
(conv. in L. 27/02/2004, n.46) art. 1, comma 1, DCB (Ro). Testata registrata “La Voce Nuova” Registrazione del Tribunale di Rovigo n. 11/2000 del 09/08/2000.
Testata aderente all’Istituto dell’Autodisciplina Pubblicitaria www.iap.it. Iscrizione al ROC n. 23289. Associata FILE 